30/08/2023

Flórida se prepara para furacão 'sem precedentes'

Flórida se prepara para furacão 'sem precedentes'

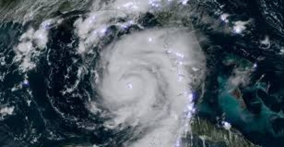
 Idalia avança sobre as águas extremamente quentes do Golfo do México  CIRA CSU

A previsão é que o Idalia atinja velocidades de vento de até 201 km/h antes de chegar ao norte de Tampa.

O governador do Estado americano da Flórida alertou os moradores que estão no caminho do furacão Idalia para que eles obedeçam imediatamente aos avisos de desocupação da região, à medida que a tormenta se aproxima do Estado.

Ron DeSantis disse que o Idalia atingiria a costa do Golfo do Estado como uma tempestade de categoria 3 na manhã desta quarta-feira (30/8).

Grande parte da Flórida, incluindo a área densamente povoada de Tampa, deverá ser afetada por condições climáticas severas.

A previsão é que o Idalia atinja uma área que DeSantis disse não ter visto um furacão tão grande desde o século 19.

Ventos fortes, até 30 cm de chuva e tempestades potencialmente mortais estão previstos em algumas áreas.

Às 11h do horário local de terça-feira (29/8), o Idalia estava a 440 km a sudoeste da Flórida, de acordo com a atualização mais recente do Centro Nacional de Furacões (NHC, na sigla em inglês).

A previsão é que o Idalia atinja velocidades de vento de 201 km/h antes de chegar ao norte de Tampa por volta das 8h, horário local, na quarta-feira.

DeSantis disse em entrevista coletiva no centro de operações de emergência do estado que os moradores ainda têm tempo para deixar a região.

"Mas vocês têm de fazer isso agora", disse ele.

Vinte e cinco dos 67 Condados da Flórida estavam sob algum tipo de aviso de desocupação dos imóveis, incluindo 14 avisos compulsórios.

Ao longo das rotas de desocupação, pedágios foram liberados e cerca de 420 mil galões de combustível estavam prontos para serem distribuídos em postos de gasolina, disse DeSantis.

O governador acrescentou: "Essas áreas costeiras não passaram por isso antes".

De acordo com o NHC, nenhum grande furacão atingiu a Baía de Apalachee, no noroeste da Flórida, desde 1851.

"Isto representa um evento sem precedentes para esta parte do Estado", informou o NHC por meio de um boletim.

O Aeroporto Internacional de Tampa fechou na terça-feira e deverá permanecer fechado até a manhã de quinta-feira (31/8).

A Flórida mobilizou mais de 5.500 guardas nacionais e até 40 mil eletricistas estão de prontidão para enfrentar os cortes de energia.

Em 2022, o furacão Ian atingiu o sudoeste da Flórida, causando mais de 100 bilhões de dólares em danos e matando mais de 100 pessoas.

“Haverá destruição de casas, lares e estruturas”, disse David DeCarlo, diretor do Gerenciamento de Emergências do Condado de Hernando.

“Esta será uma tempestade com impacto na vida.”

Na segunda-feira (28/8), o Idalia atingiu a costa ocidental de Cuba, onde dezenas de milhares de pessoas deixaram suas casas devido a inundações e ventos fortes.

Os moradores fecharam os imóveis e protegeram os barcos de pesca, enquanto as enchentes marrons inundaram a pequena vila de pescadores de Guanimar, ao sul de Havana, no meio da tarde.

"Já tivemos dois dias de chuva", disse Yadira Alvarez, de 34 anos, à Reuters na segunda-feira. Ela disse que a água da chuva já havia chegado à altura dos joelhos dentro da casa dela.

Os estados norte-americanos da Geórgia, Carolina do Norte e Carolina do Sul também poderão sofrer fortes tempestades, disseram os meteorologistas.

Muito a leste de Idalia, Franklin, o primeiro grande furacão da temporada, poderá causar tempestades à costa leste dos EUA e às Bermudas.

Na tarde de terça-feira, no horário local, o olho do Franklin estava a oeste das Bermudas, movendo-se para nordeste a uma velocidade máxima de 209 km/h. O caminho atual dele desvia de qualquer grande massa terrestre, com a tempestade se movendo para o leste da América do Norte.

O impacto das mudanças climáticas na frequência das tempestades tropicais ainda não é claro, mas o aumento da temperatura da superfície do mar aquece o ar e disponibiliza mais energia para impulsionar os furacões.

Como resultado, é provável que eles sejam mais intensos, com chuvas mais extremas.

De acordo com o jornalista Carl Nasman, da BBC, não houve um aumento no número de furacões que atingiram a costa dos Estados Unidos nos últimos anos, mas o aquecimento dos oceanos levou à formação de tempestades mais poderosas sobre o Atlântico.

Segundo Carl Nasman, o número de furacões de categorias 3, 4 e 5, considerados os mais devastadores, estão aumentando.

"Em 2015, o Furacão Katrina, que atingiu o Estado americano de Luisiana em 2005 como um furacão de categoria 3, deixou 1.200 pessoas mortas. Ele deixou centenas de milhares de pessoas desabrigadas e causou um prejuízo de mais de 125 bilhões de dólares", afirmou.

Segundo o jornalista, na época o furacão foi considerado como um evento que acontece uma vez no século. No entanto, entre 2016 e 2018, os Estados Unidos foram atingidos por outros seis furacões ainda maiores.

"O que deu mais força ao Katrina e outros furacões foi o aquecimento das águas dos oceanos. Conforme os oceanos esquentam, os furacões ganham mais energia e se tornam mais devastadores", diz Nasman.

Voos cancelados e ajuda federal

Um velho carro americano passa por uma rua alagada em Havana, no dia 29 de agosto de 2023, durante a passagem do Idalia. Getty Images

Mais de 500 voos dentro dos Estados Unidos foram cancelados hoje, de acordo com o banco de dados de rastreamento de voos FlightAware. Destes, 379 chegam ou partem do Aeroporto de Tampa e são responsáveis pela grande maioria dos cancelamentos.

Espera-se que a área da Baía de Tampa sofra impactos significativos quando o furacão Idalia atingir a Flórida, e o aeroporto já tiver suspendido suas operações comerciais.

Quase 2.000 voos nos EUA também foram atrasados desde a manhã.

O governador da Carolina do Sul, Henry McMaster, declarou estado de emergência.

Ele diz que a decisão foi tomada com “muita cautela” para garantir que estavam preparados para qualquer inundação e poderiam responder rapidamente se a previsão piorasse.

Na Casa Branca, o presidente Joe Biden disse que garantiu ao governador da Flórida, Ron DeSantis, num telefonema na segunda à noite, que seu Estado obterá toda a ajuda necessária.

“Estamos preocupados com a onda oceânica”, disse Biden aos repórteres antes de uma reunião bilateral com o presidente da Costa Rica.

Ele disse que a equipe dele monitora o trajeto do Idália “hora a hora”.

“Estaremos lá o tempo que for necessário e garantiremos que eles tenham tudo o que precisam”, acrescentou (BBC News, 29/8/23)

 


EUA: Tempestade Idalia é classificada como furacão e avança rumo à Flórida

tempestade Idalia - Imagem Blog Tnh1

A tempestade Idalia foi classificada como furacão na manhã desta terça-feira, enquanto avançava em direção à Flórida, forçando preparativos de emergência e evacuações no estado um dia antes de a tempestade atingir o continente.

A tempestade nesta manhã estava com ventos máximos sustentados de até 130 quilômetros por hora, tornando-se um furacão de categoria 1, de acordo com o Serviço Meteorológico Nacional. Idalia poderá avançar a uma tempestade de categoria 3, um grande furacão extremamente perigoso, quando chegar à Florida.

Os meteorologistas disseram que a tempestade atingiria a costa oeste ou a região de Big Bend, na Flórida, uma área escassamente povoada. Mais de 20 condados estão sob ordens de evacuação e os residentes foram instruídos a procurar locais mais elevados. Hoje, o furacão Idalia estava cerca de 595 quilômetros ao sudoeste de Tampa (Dow Jones Newswires, 29/8/23)